Category Archives: WMAL News Now

Access to White House Halted After Objects Thrown Over Fence
WASHINGTON — The U.S. Secret Service has restored access to the White House and surrounding areas after objects were thrown over the fence.The agency – which is responsible for secur...
Syndicated Author Sep 11, 2017

China Wants to Ban Gas and Diesel Cars
BEIJING — China is preparing to put the brakes on gasoline and diesel cars.The country, home to the world’s largest auto market, is working on a plan to ban the production and sale o...
Syndicated Author Sep 11, 2017

Pope Francis Says Rescinding DACA is not “Pro-Life”
ABOARD THE PAPAL PLANE — If US President Donald Trump considers himself “pro-life,” he should reconsider his decision to end a program that allows the children of undocumented...
Syndicated Author Sep 11, 2017

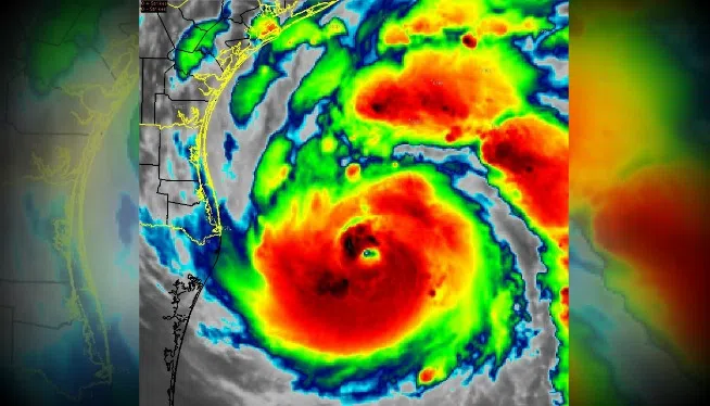
Millions of Homes And Business Without Power As Irma Pushes Northward
TAMPA, FLORIDA — Nearly 4.5 million homes and businesses across Florida have lost power as Hurricane Irma moves over the state, with possibly more outages to come. Utility officials say i...
Syndicated Author Sep 11, 2017

Recent Trump Critic Sen. Bob Corker Weighs Retirement in 2018
WASHINGTON — Tennessee Sen. Bob Corker, the influential chairman of the Senate foreign relations committee who was once considered for a spot in President Donald Trump’s Cabinet, is weighi...
Syndicated Author Sep 11, 2017

As 9/11 Is Remembered 16 Years Later, Some See Changing Mission
Steve Burns WMAL.com https://cdn.socast.io/6616/sites/238/2017/09/11054846/MON-AM-STV-ARL-9-11-1.mp3 WASHINGTON – (WMAL) Like many places large and small, Arlington County will be doing its mode...
Syndicated Author Sep 11, 2017

BANNON: The GOP Is Trying To Nullify Trump’s Election
WASHINGTON — Former White House chief strategist Steve Bannon claimed “the Republican establishment is trying to nullify the 2016 election” in an interview that aired on CBS’s ...
Syndicated Author Sep 11, 2017

Nevada Panel Reviewing Name Change for Jefferson Davis Peak
RENO, NEVADA — A remote mountain peak in Nevada’s Great Basin National Park is getting more attention since deadly race-based violence in Virginia last month sparked new calls for re...
Syndicated Author Sep 08, 2017

Prosecutors Want Shkreli’s Bail Revoked for Hillary Clinton Threat
NEW YORK — Federal prosecutors want a judge to revoke bail for Martin Shkreli after he offered money to anyone who could grab Hillary Clinton’s hair.In a court filing on Thursday, the pros...
Syndicated Author Sep 08, 2017

Joe Biden’s Daughter Says Ex-VP Considering 2020 Run
WASHINGTON — Former Vice President Joe Biden’s daughter, Ashley, added more fuel to the 2020 speculation mill this week, saying that she thinks her father is considering a run for presiden...
Syndicated Author Sep 08, 2017
Subscribe to our Newsletter
Contact WMAL
Studio Lines: 888-630-WMAL (9625)
News Room: 202-686-3020
Programming: 202-686-3100 Ext. 2358
Email Directory
Programming
Newsroom
Sales
Website Questions or Comments














